+5493404630253
En Venta
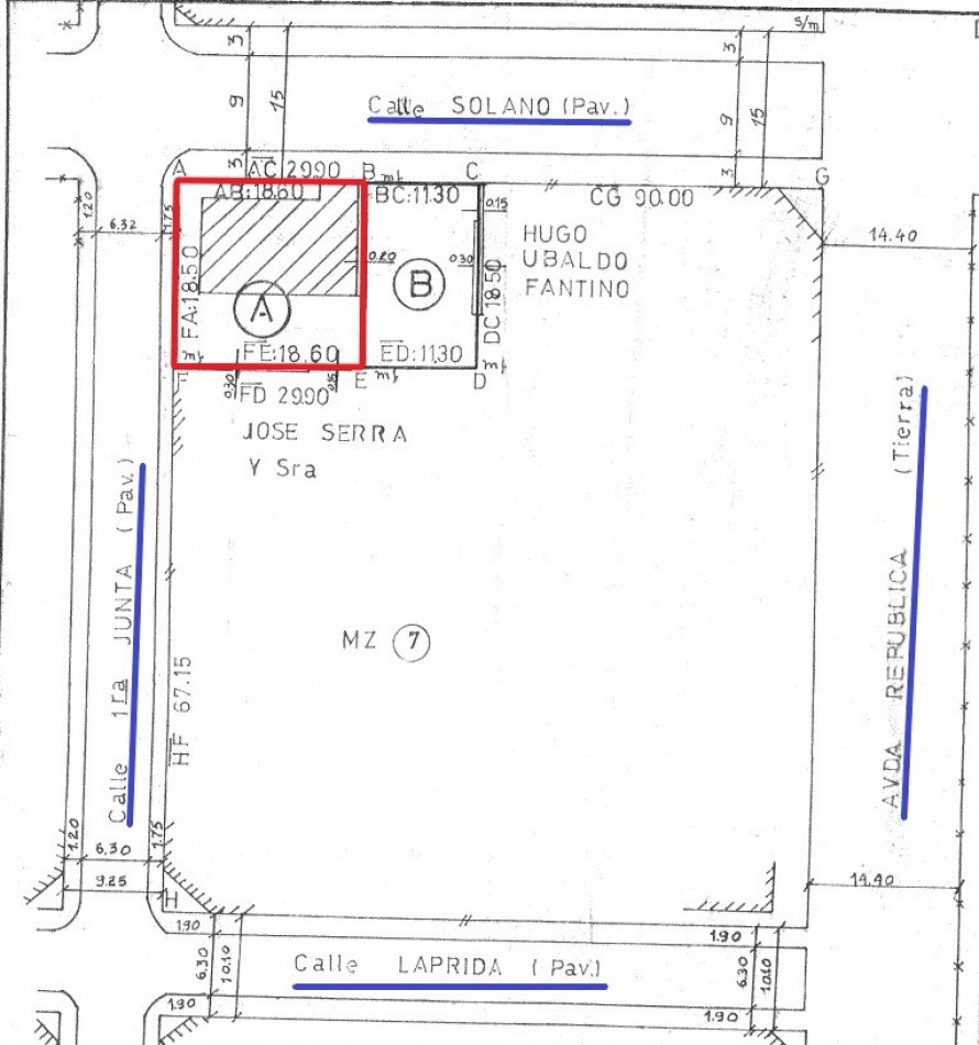
LOTE EN ESQUINA. Todos los servicios!
Código: 172978

Primera Junta & Solano, S2252 Gálvez, Santa Fe, Argentina, Galvez, Santa Fe, Argentina.

USD40.000

Terreno
Compartir esta Propiedad

Descripción de la Propiedad

*CONCEPTO:
• LOTE EN ESQUINA.
• Todos los servicios.

*UBICACIÓN:
• PRIMERA JUNTA Y SOLANO.

*SUPERFICIE:
• 344,10 m2.

*MEDIDAS:
• 18,50 (por 1ra. Junta) X 18,60 (Solano).

*FORMA GEOMÉTRICA:
• Cuadrado.

*TOPOGRAFÍA:
• Regular.

*SERVICIOS:
• Todos los servicios en sector urbano.

*ORIENTACIÓN DE SU FRENTE:
• Norte por Solano.
• Oeste por Primera Junta.

*SE DESTACA:
• Es un cuadrado casi perfecto de más de 300 m2 en un sector en el que no quedan prácticamente superficies limpias para edificar.






Mas detalles
Ver video de la propiedad