+5493404630253
Vendido
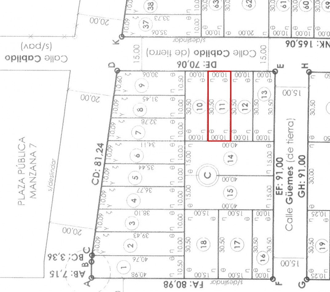
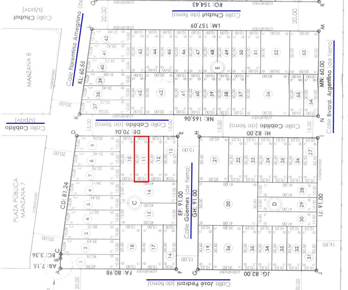
LOTE RESIDENCIAL - 10X30.
Código: 177792

Cabildo 68, S2252 Gálvez, Santa Fe, Argentina, Galvez, Santa Fe, Argentina.

Consultar Precio
Terreno
Compartir esta Propiedad

Descripción de la Propiedad

*CONCEPTO:
• LOTE 10X30.
• Zona Residencial.

*UBICACIÓN:
• CABILDO 68.
• Entre Ameghino y Güemes.
• Loteo Ex Feria – Pedroni.

*SUPERFICIE:
• 300 m2.

*MEDIDAS:
• 10 x 30

*FORMA:
• Rectangular.

*TOPOGRAFÍA:
• Normal.

*SERVICIOS:
• Agua corriente.
• Cloacas.
• Electricidad.
• Gas.
• Mejorado.

*SE DESTACA:
• Dimensiones tipo en ubicación preferencial.

*ORIENTACIÓN DE SU FRENTE:
• Este.

*VECINDADES:
• Residenciales.







Mas detalles
Ver video de la propiedad